
Based on what a friend in Covington told us, we won’t be going home to Louisiana anytime soon. Trees and power lines are down everywhere; gas and food are scarce; a boil-water advisory and 24-hour curfew are in effect.
The hurricane experience has been stressful because I’ve vacillated between hope, complacency, and dread. We saw that Hurricane Ida would hit us head on. Maybe it won’t be so bad, we thought. Should we stay? Yes, let’s stay. I don’t know; do we really want to be here for the aftermath? OK, we’re leaving. Does that mean we have to throw away all our food? Let’s just stay. Good idea.
We went to bed, thinking we were staying. I woke up at 4:00 a.m. Erlinda was already dressed. She said, “If we’re going, we’d better pack fast and leave as soon as we can.” Our decision was a gut response: hell yes, we’re getting out of here!
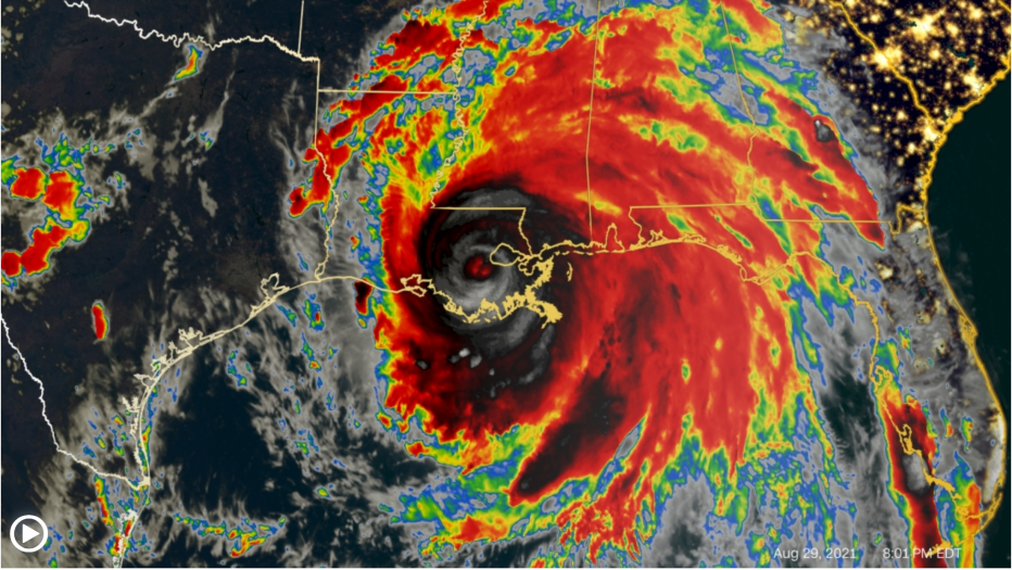
I knew the storm was coming close to us, but I didn’t realize how close until I saw this satellite photo. The small yellow loop to the right of the eye is Lake Pontchartrain. We live on the north side of the lake.
We won’t return to Covington for at least a week. I’d better find something better to read than what I brought to San Antonio. Guide to Financial Markets and Robert’s Rules for Dummies are not going to cut it.
With your vivid, terse descriptives, you captured magnificently the angst of not knowing what to do until the critical last moment of action that y’all had to take to escape Ida. I love your writing.
Sent from my iPad
>
LikeLike
Thank you, Nestor. And thank you for all your help with our evacuation.
LikeLike